![]() |
|||||||
|
|||||||
New
|





Did you know?
MHS is the second-oldest historical society in Canada.
Dalnavert Visitors CentreJump to: Come Home to History!That's the message for the campaign to raise funds for the MHS's new Dalnavert Visitors Centre which, with your support, is now under construction. This state-of-the-art building will enable us to offer activities, programs, and exhibits that are presently beyond the means of our Museum.
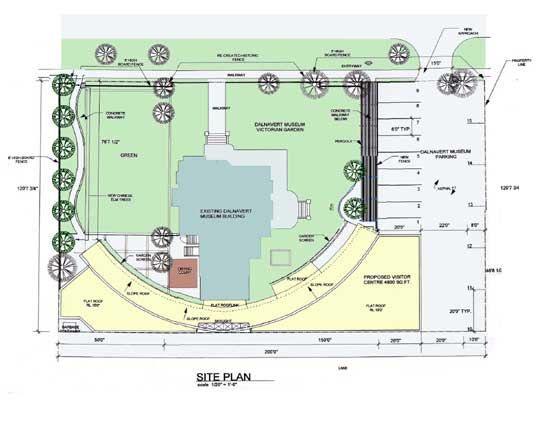
This architectural diagram shows the relationship between the existing Dalnavert Museum and the dramatic new Visitors Centre wrapped around it. Dalnavert's expanded Victorian gardens will blossom in the south yard following deconstruction, early in 2004, of the neighboring residence building. The Visitors CentreThe Visitors Centre will be a 5,000 square foot building that meets the physical needs of museum staff and visitors, and enables new opportunities for programming, special events, and MHS activities:
ArchitectureThe architect guiding the Dalnavert Visitors Centre project is Mr. Wins Bridgman of the Winnipeg firm DAPR Architecture. Mr. Bridgman has extensive experience in projects involving heritage buildings. He is currently involved in the restoration of the A. A. Heaps building and the Winnipeg Free Press building in downtown Winnipeg. Mr. Bridgman has taught Building Conservation and Architectural History at the University of Manitoba's Faculty of Architecture and he is a consultant to the City of Winnipeg on architectural and heritage matters. BenefitsThe new Visitors Centre will improve all aspects of the operations of Dalnavert Museum. It will provide these other benefits too:
Dalnavert's Place in Downtown WinnipegSir Hugh John Macdonald was for many years, a Police Magistrate, who walked each day from his house, Dalnavert, to the Police Court in the old Police Station on James Avenue. The streets he walked would be largely unrecognizable to us today, almost everything from his era having been replaced or altered. Dalnavert is one of only 8 or 9 residential structures remaining from the Hudson's Bay Reserve neighbourhood, along whose tree lined streets Winnipeg founders and leaders once lived. His neighbours included Sanford Evans, publisher of the Winnipeg Telegram, a mayor of Winnipeg and later an MLA; Thomas Kelly, a millionaire contractor who built the law courts, the original University of Manitoba buildings and of course the Legislature, a contract that landed him in Stoney Mountain Penitentiary; James Ashdown lived a short distance away on Broadway as did George Galt, one of the partners in a huge grocery wholesale business which owned the Blue Ribbon brands of tea and spices. Galt was, like Macdonald, the son of a Father of Confederation, Alexander Galt. Of course the neighbourhood changed during the Macdonald's time on Carlton and many people moved to the more exclusive and secluded streets south of the Assiniboine River. Dalnavert can become an even better centre for the interpretation of this important Winnipeg district. As well the house is ideally situated for tourism. It stands among other major attractions, the Legislature and Government House to the west, Fort Garry Hotel/Upper Fort Garry Gate/ and the Union Station to the east. Dalnavert with its Visitor Centre and Orientation room can be a natural jumping off point for tours of the whole district. The Rail Museum, the Naval Museum, Upper Fort Garry Gate and the entire Forks complex could be potentially knitted into a museum river walk, offering visitors a unique look at many important aspects of Winnipeg history.
Within the Visitor Centre an orientation room, able to accommodate 75 people, will be available to the community at large, for meetings of people who live and work in the area or those from other areas of Winnipeg who wish to hold a meeting at a location with a difference. Our expanded Carlton Lane Gift Shop will provide an added feature of interest to tourists and be a convenient shop for people of the neighbourhood looking for a unique gift. Those of us who are involved in the Manitoba Historical Society are immensely proud of what Dalnavert has already achieved. The house is a national, provincial and city designated site. It is exquisitely restored and maintained. The Dalnavert Museum Visitor Centre will help us share this wonderful resource with Winnipeggers and our guests from elsewhere for many years to come. Back to top of page |
Web site © 1998-2009 Manitoba Historical Society. All rights reserved.
Society inquiries: info@mhs.mb.ca Web site inquiries: webmaster@mhs.mb.ca
Questions on Manitoba history: questions@mhs.mb.ca
Frequently Asked Questions Privacy Policy Donations Policy