Photo Collections


Communities

Bannerman
























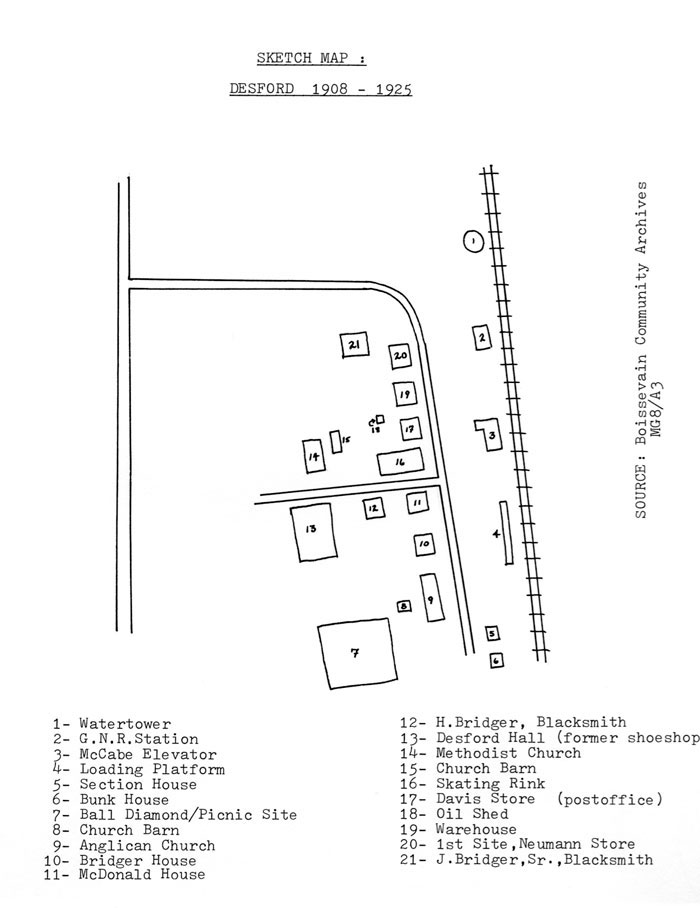
Former Desford store - in Boissevain










Traces of the abandonned GN line are visible where cuts and fills were used to smooth the way.



Fairburn Park