Historical Tours in Manitoba: Walking Tour of North Point Douglas

Link to:
Tour A | Tour B

Introduction

The building of Fort Douglas was started in 1813. The first Selkirk Settlers who arrived in 1812 found “the forks”, where the Red and Assiniboine Rivers meet, already occupied by the North West Company’s Fort Gibraltar. The settlers decided to relocate on the south side of Point Douglas where fire had reduced the tree cover. Land could be easily cleared for agriculture in this area.

For the first settlers from the east the Red River was a mixed blessing. It was an efficient transportation link, a guaranteed source of water for cultivation, but at the time of spring breakup it could be and proved itself more than once to wrack havoc on the early settlement and what was to become Winnipeg of the future.

Point Douglas from Red River, circa 1890

Point Douglas from Red River, circa 1890
Source: Archives of Manitoba

Despite the early setbacks and strife during 1870-1874, when the province and city were being formed, it appeared that Point Douglas would become a fashionable residential district. For the greater part of the 19th century, North Point Douglas was known as a prestigious area of the city. It was home to the Ashdowns, the Schultzes and the Logans, some of Winnipeg’s founding families. Real-estate investors banked upon the expectation that the area would boom, however Point Douglas was not to realize its early promise. All too quickly, other areas, particularly the Hudson Bay Reserve and property south of the Assiniboine River provided attractive residential alternatives. Despite this, Point Douglas evolved its own share of churches, retail outlets, schools, and businesses, each contributing to the character of the community.

Significant changes in transportation, which took place after 1850 resulted in further expansion of the population. The arrival of the steamboat and the construction of a rail line from St. Paul resulted in an influx of settlers from the United States. The dispatch of troops in from Eastern Canada in 1870 to quell the uprising at Fort Garry meant many of the soldiers chose to remain in the settlement, followed by other settlers from eastern Canada. Whether they came from Ontario or the United States, the new arrivals were largely of British origin.

Winnipeg’s Boom Years ... and the Decline of Point Douglas

The passage of the Dominion Lands Act in 1872 opened the Canadian West to homesteaders. Icelanders and Mennonites began to arrive in a steady stream. By 1874 when the city of Winnipeg was incorporated, the population had grown to 4,000. In the early years, fur trade was the chief source of commerce. In the years following 1870, the demand for merchandise, lumber, and agricultural implements resulted in a thriving economy. The development of a hardy winter wheat meant a thriving agricultural commodity. All of these pointed out the need for more settlers. Both the Canadian government and the CPR embarked on a campaign to attract settlers to the West, placing ads in newspapers in Central and Eastern Europe. Between 1880 and 1914, more than two million immigrants arrived in Canada. These consisted of Hungarians, Germans, Ukrainians, Russians and Jews, with many of them settling in Western Canada. Winnipeg’s population grew from 42,340 in 1901, to 132,729 in 1910, an increase of almost 100,000 people. These were the Winnipeg’s boom years. Its population swelled faster than civic officials could cope, land prices rose spectacularly, and there was an unprecedented building boom.

Manitoba immigration poster from the 1890s.

Manitoba immigration poster from the 1890s.

Most of Winnipeg’s significant commercial buildings and churches were constructed during the period of 1900 and 1925, and they reflected a spirit of hope and optimism for the future of the city and its population.

The decision in 1881 to route the CPR through Point Douglas changed the character of Point Douglas, effectively cutting the area in two, with the portion north of the CPR tracks remaining for the most part residential, while the portion south became dominated by the railroad and its associated buildings. In response to Winnipeg’s growth as the commercial and grain centre of Manitoba, the railway embarked on a vast expansion program, as Alan Artibise points out, resulting in a huge “maze of buildings and tracks.” This in turn led to the establishment and location in Point Douglas of light and heavy industries such as foundries, cement plants, soap factory, furniture companies, saw mills, flour mills, carriage works, warehouses and farm implements.

While Point Douglas was never primarily an industrial area, its character had been permanently changed. Within two decades from the incorporation of Winnipeg in 1874, Point Douglas had changed from an attractive residential area where its most important citizens resided, to an area bisected by train yards, with factories belching smoke and dirt, trains rumbling through the area, their smoke darkening the skies. Its residents changed from upper middle class, largely of British origin, to working class, of non-British stock.

In 1881, almost 84% of Winnipeg’s residents were of British origin, 5% were of Icelandic or Scandinavian, almost 3% were of German background, and almost 6% were of French background. The remainder, Italian, Asian, Dutch, amounted to 2% of the population. These numbers are reflected in the listing of residents of Point Douglas in the Henderson’s Directories of 1880 and 1890, with the majority being Anglo-Saxon: Stewart, Spence, Parker, Hodgins, Fortin, Ross, Gibb, Jackson, McDonald and so on.

In the “foreign” quarters of Winnipeg, 1909.

In the “foreign” quarters of Winnipeg, 1909.
Source: Archives of Manitoba

By 1901, the British-born in Winnipeg had declined to 73.9%, the Scandinavian and German had risen to 13.3%, the French accounted for 3.3%, while the balance of 9.5% was now accounted for by Austro-Hungarian, Russian, Polish, Ukrainian, Jewish (the latter which had gone from four people in 1881 to 1,156 or 2.7%), and small amounts of other ethnic groups. The listing in the 1900 Henderson Directory for Point Douglas residents begins reflects these changes: still a large number of Anglo-Saxon names, but there are more German and Jewish names.

Alan Artibise points out that in 1906, 42% of Winnipeg’s population was located in the North End (which designation included Point Douglas) even though in terms of area, the North End only possessed one-third of the city’s area.

Why did they locate here? Point Douglas and the North End offered the immigrants cheap, affordable housing, close proximity to their jobs and a community in which they would not have to struggle with language difficulties. Shortly after the strong wave of immigrants to the city, churches and synagogues quickly sprang up in the North End and Point Douglas areas. In addition to places of worship, these communities offered bakeries, grocery stores, mutual aid and benevolent societies, and reading rooms where the both the customer and proprietor spoke the same language. It was a community shamefully neglected by the city’s politicians when it came to water and sewer services, and appropriate zoning regulations, but blessed by agencies which came into existence such as the All People’s Mission, and the Margaret Scott Mission which focused on the physical and spiritual needs of the immigrants. As Alan Artibise points out, “The genuine commitment of both agencies to Winnipeg’s poor (of whatever ethnic origin) clearly indicates that not all Anglo-Saxon Winnipeggers shared the commercial elite’s overriding concern with economic growth. Rather, those involved in these agencies were dedicated to removing or at least moderating the depersonalizing and demoralizing aspects of urban life and meeting the physical, social and moral needs of the city’s poor.”

City officials were initially unprepared to deal with the flood of non-English speaking immigrants. In response, however, to the obvious problem of teaching children unable to speak English, attempts were made to begin training bilingual teachers. At 23 Beaconsfield, a Polish Training School was put in place so that bilingual teachers could be trained. Health problems required attention, and the former Schultz residence at 2 Beaconsfield was turned into a children’s hospital—the first for Winnipeg. At 130 Austin, a “Girls Home of Welcome” (later known as the Arnol Block, destroyed by fire on 19 January 1975) was established to “provide a good class of domestics for our community and of securing a shelter and protection of girls of that [sic] class coming without friends to the country.” A Hebrew Immigration Home was established at 75 Hallet, as well as the Hebrew Immigration Society (listed in Henderson’s as “soup kitchen”) on Jarvis Avenue.

One of the things that interests most people when you talk about housing is its value. As one would expect the representative value of housing in Point Douglas has changed with time. A brief examination of housing costs through time shows that:

  • When the William Ross family moved into their new house in early 1855, a house that Alexander Ross had declared “the prettiest in Red River,” it had cost £252.
  • In 1872 when Alexander Brown and Thomas Rutherford arrived in Winnipeg houses could be rented for $30 a month; however, they were building 1½-storey houses for $1000.
  • In 1909 houses in Point Douglas were reported to possess a market value of up to $5,000.
  • In 2004-2005, four house listings for Point Douglas showed an average selling price of $28,650.

By 1915, Winnipeg’s population had grown from almost 133,000 in 1910 to 212,889. As far as ethnicity of Winnipeg’s population was concerned, the significant change was in the non-British born immigrants, the “foreigners”, who now accounted for almost 20% of Winnipeg’s population. Henderson’s Directory of 1915 continues to cope with the “foreign element.” The listing for Euclid reveals something of the interesting mix of nationalities and the services located there. In comparing the listings for Point Douglas, one notes how impermanent its residents were. Of approximately 45 listings on Euclid Avenue, for example, in 1915, five years later, only five of the same families remain at the same location. The ethnic mix of Point Douglas, however, remained predominantly “foreign,” that is, of Central or Eastern European origin, although there were still a few British names. As the affluent moved on to other areas of Winnipeg Point Douglas became populated by various immigrant populations, Jews, Ukrainians, Germans and Scandinavians. There was a steady stream of people in and out of this area, however without them the area would not have developed the rich cultural mosaic that is still evident in the area today.

Walking Tour A

Our stating point for touring Point Douglas is the Ross House Museum located in Joseph Zuken Park. The house was built in 1854 and was the home of William and Jemima Ross and served as Western Canada’s first post office. While Ross House is has been moved to Point Douglas from its original location, it allows us to see how the early homes were constructed.

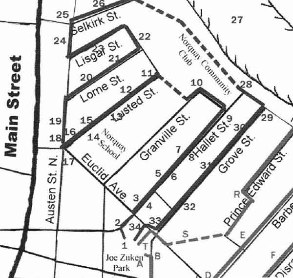
Walking Tour A route with numbers where stops are located. They are indicated below by curly braces {}.

Walking Tour A route with numbers where stops are located. They are indicated below by curly braces {}.

The area was home to some of early Winnipeg leading citizens – Edmund Lorenzo Barber whose residence remains at 99 Euclid Avenue, James Ashdown, John Christian Schultz, and William Gomez Fonseca. The area began to change with the arrival of the CPR and industries set up adjacent to the rail line and commercial ventures sprung up along Main Street. Part of the Vulcan Iron Works complex was situated on what is now Zuken Park. Waves of immigrants settled in the area and found jobs close by rapidly changing the largely Anglo-Saxon make up of the neighbourhood.

Representative of this change are the memorials in Zuken Park to poet and Ukrainian nationalist Markian Shaskhevich and to Sir William Stevenson (“Intrepid”) who was of Icelandic descent and lived at 175 Syndicate Street.

STOP 2 - 173 Maple Street (?)

At the rear of 173 Maple Street {2} is an unusual brick structure, which originally served as a stable. The building is shaped to fit on the property.

At the rear of 173 Maple Street is an unusual brick structure, which originally served as a stable. The building is shaped to fit on the property.

173 Maple Street

173 Maple Street (October 2021)
Source: George Penner


Proceed north on Hallet Street, named after William Hallet who surrendered to Louis Riel in December 1869.


STOP #3 - 135 Hallet Street (1923)

{3} 135 Hallet, built in 1923, has a fully glazed verandah and decorative cedar shingles on its gables.

In 2004, this house had a fully glazed verandah and decorative cedar shingles on its gables. These had been altered by the time of a second photo in 2018.

135 Hallet Street

135 Hallet Street (June 2018)
Source: George Penner


STOP #4 - 130 Hallet Street (1889)

{4} 130 Hallet, built in 1889, has a brick exterior, bay window on the side, and a fully glazed verandah.

In 2004, when this photo was taken, the house had a brick exterior, bay window on the side, and a fully glazed verandah.

130 Hallet Street

130 Hallet Street (September 2019)
Source: George Penner


STOP #5 - 108 Hallet Street (1893)

{5} 108 Hallet, built in 1893, was occupied in the 1896 by the widow of John Norquay, who served as premier from 1878 to 1887.

In 1896, this house was occupied by the widow of John Norquay, who served as premier from 1878 to 1887.

108 Hallet Street

108 Hallet Street (September 2019)
Source: George Penner


STOP #6 - 107 Hallet (1883)

{6} 107 Hallet, built in 1883.

107 Hallet Street

107 Hallet Street (September 2019)
Source: George Penner


STOP #7 - 93 Hallet Street (1883)

{{7} 93 Hallet, built in 1883, was covered in Insul-Bric Siding at the time this photo was taken (2004).

The house was covered in Insul-Bric Siding at the time this photo was taken in 2004.

93 Hallet Street

93 Hallet Street (September 2019)
Source: George Penner


STOP #4: 68 Hallet Street (1894)

{9} 68 Hallet, built in 1894 – Queen Anne style house, enclosed verandah, bay window on side, decorative verge board on gables.

In 2004, this Queen Anne style house had a enclosed verandah, bay window on side, with decorative verge board on its gables

68 Hallet Street

68 Hallet Street (September 2019)
Source: George Penner


Take Beaconsfield over to Lusted Street (named after Thomas Lusted – a wagon maker – who surrendered to Riel in December 1869, later elected as MLA for Rockwood in 1878).


STOP #10 - 71 Lusted Avenue (1898)

{10} 71 Lusted, built 1898 – simulated brick asphalt siding, decorative detail on verandah.

In 2004, the house had Insul-brick siding and decorative detail on verandah.

71 Lusted Avenue

71 Lusted Avenue (September 2019)
Source: George Penner


STOP 11 - 83 Lusted Avenue (1884)

{11} 83 Lusted, built in 1884 – large brick home approximately 2400 sq. ft. – past owners have included Joseph Finkleman, who owned a store on Main Street, and Kolman Bass, who was service station owner.

Past owners of this large brick home, approximately 2,400 square feet, have included Joseph Finkleman, who owned a store on Main Street, and Kolman Bass, who was a service station owner.


STOP 12 - 102-104-106 Lusted Avenue (1882)

{12} 102-104-106 Lusted, built 1882 – large triple, 3 gables

This is a large triplex with three gables.

102-104-106 Lusted Avenue

102-104-106 Lusted Avenue (September 2019)
Source: George Penner


STOP 13 - 123 Lusted Avenue (1906)

A large 2½-storey house with a decorative spindle pattern on the gable.


STOP 14 - Norquay School

Norquay School, originally called Central School, was built in 1882. The first school was a rented two-room store; six rooms were added in 1888. A 1890 fire destroyed the school but in 1892 a modern three-storey structure was built to accommodate the growing neighbourhood. The present school opened in 1971.


STOP 17 - Immaculate Concepture Church

Immaculate Conception Church at the corner of Austin at Euclid: The original church was built in 1892. Its interior featured elaborate woodwork, brass chandeliers, pillars, and arches. The present church replaces the original, which was destroyed by fire in March 1978.


Turn onto Austin Street (named after Albert Austin - founder of the Winnipeg Street Railway Company).


STOP 16 - 221 Austin Street (????)

{16} 221 Austin, one of a number of corner stores that were once scattered through the neighbourhood, now serves as home of the North Point Douglas Women’s Committee.

This is one of a number of corner stores that were once scattered through the neighbourhood, now serves as home of the North Point Douglas Women’s Centre.

221 Austin Street

221 Austin Street (October 2019)
Source: George Penner


STOP 18 - 230 Austin Street (1932)

{18} 230 Austin, built 1932 – large 2300 square foot brick house, possibly built as a multi-family home.

This large 2,300-square-foot brick house was possibly built as a multi-family home.

230 Austin Street

230 Austin Street (September 2019)
Source: George Penner


STOP 19 - 234 Austin Street (1932)

{19} 234 Austin, built 1932 – large 2300 sq. ft. house with twelve rooms, probably built as a rooming house, with unique arches on porch and flat top gables.

This large 2,300-square-foot house with twelve rooms, probably built as a rooming house, has unique arches on porch and flat top gables.

234 Austin Street

234 Austin Street (September 2019)
Source: George Penner


Turn onto Lorne Avenue (named after the Marquis of Lorne – Governor-General of Canada from 1878 to 1883).


STOP #20 - 119-121 Lorne Avenue (1894)

{20} 119-121 Lorne, built 1894 – unique one-storey duplex with cottage roof.

This is a unique one-storey duplex with a cottage roof.

119-121 Lorne Avenue

119-121 Lorne Avenue (September 2019)
Source: George Penner


STOP 21 - 95 Lorne Street (1916)

{21} 95 Lorne, built 1916 – larger 2½ storey features a turret – Morris Shapiro, owner of a clothing store, lived here during the 1920s and 1930s.

This larger 2½-storey house features a turret. Morris Shapiro, owner of a clothing store, lived here during the 1920s and 1930s.

95 Lorne Street

95 Lorne Street (September 2019)
Source: George Penner


STOP 22 - 2 Beaconsfield

No building exists at this address now but there is nevertheless considerable history attached to this site. Sir John Christian Schultz, one of Manitoba’s most colourful characters, built a large 2½ storey house on the property facing the river. Schultz was a very strong opponent of Riel and advocated joining Canada. He was a newspaper publisher and later became Lieutenant-Governor of Manitoba. Later, in the 1880s, families such as the Schultzes and Ashdowns left Point Douglas for the Broadway area where they built very large homes. The Schultz home became a boarding house. From 1908 to 1911 the house served as the first Winnipeg Children’s Hospital and could accommodate thirty patients.


138 Lisgar Avenue (1905)

{23} 138 Lisgar, built 1905 – large 2½ storey brick house with enclosed verandah. For many years, this was the home of the Dutka family which operated small grocery stores at 138 Lorne and later 243 Austin.

This large 2½-storey brick house had an enclosed verandah in this 2004 photo. For many years, this was the home of the Dutka family which operated small grocery stores at 138 Lorne and later 243 Austin.

138 Lisgar Avenue

138 Lisgar Avenue (September 2019)
Source: George Penner


STOP 24 - 289 Austin Street (1907)

{24} 289 Austin, built 1907 – 1¾ storey home with enclosed verandah and decorative cedar shingles on gable.

This 1¾-storey home has an enclosed verandah and decorative cedar shingles on gable.


STOP 25 - 165 Selkirk Avenue (?)

{25} 165 Selkirk, currently Sterling Glove but previously served as the plant for the “Israelite Press” and, prior to the 1930s, it was home to Rice Knitting Mills and North-West Knitting.

Currently Sterling Glove but previously served as the plant for the “Israelite Press” and, prior to the 1930s, it was home to Rice Knitting Mills and North-West Knitting.


STOP #26 - 109 Selkirk Avenue (1909)

{26} 109 Selkirk, built 1909 – large 2½ storey with large open verandah.

This is a large 2½-storey house with a large open verandah.

109 Selkirk Avenue

109 Selkirk Avenue (September 2019)
Source: George Penner


Leaving Selkirk Avenue behind, our path takes us through Norquay Community Park. The property adjacent to Selkirk Avenue was the former site of Mount Carmel Clinic (120 Selkirk Avenue) that had been established in 1926. Previously, a lumber yard had been at this address.


STOP 28

As we proceed through Norquay Park along the river we case the effect of river bank slumping and possible loss of important river bank property. Point Douglas has been prone to flooding in years prior to the building of the Floodway. The 1950 flood put the entire neighbourhood under water and caused extensive damage to over 400 homes. As we walk to Grove Street, we can see that Rover Avenue has been raised and is actually on top of the dike.


STOP #29 - 40 Grove Street (1907)

{29} 40 Grove Street, built 1907 – large two-storey duplex, two gables with decorative trim, enclosed verandah.

In 2004, this large two-storey duplex had two gables with decorative trim and an enclosed verandah.

40 Grove Street

40 Grove Street (June 2018)
Source: George Penner


STOP #30 - 65 Grove Street (1900)

{30} 65 Grove Street, built 1900 – many Point Douglas residents were employed in the area. Henderson’s Directories show that occupants at this address worked for Acklands on Higgins, Simmons Mattress on Sutherland, and Brown & Rutherford on Sutherland.

Many Point Douglas residents were employed in the area. Henderson’s Directories show that occupants at this address worked for Acklands on Higgins, Simmons Mattress on Sutherland, and Brown & Rutherford on Sutherland.

65 Grove Street

65 Grove Street (June 2018)
Source: George Penner


STOP #31 - 70 Grove Street (1906)

{31} 70 Grove Street, built 1906 – stone cased well on side of house, house is now heated from geothermal wells drilled on adjacent property that the owner had purchased.

stone cased well on side of house, house is now heated from geothermal wells drilled on adjacent property that the owner had purchased.

70 Grove Street

70 Grove Street (September 2019)
Source: George Penner


STOP #32 - 90 Hallet Street (1915)

{32} 90 Grove Street, built 1915 – large 1¾ storey house with cedar shingles and decorative trim on gables.

This large 1¾-storey house had cedar shingles and decorative trim on its gables in this 2004 photo.

90 Hallet Street

90 Hallet Street (September 2019)
Source: George Penner


STOP 33 - 121 Euclid Avenue (1899)

Large 2½-storey house with turret and attached one-storey brick retail store, the last surviving corner store in Point Douglas.


The neighbourhood was once home to corner stores at 50 Grove, 107½ Grove, and 129 Hallet; Chinese laundries at 102 Euclid and 181 Euclid, and a bottling plant at 90 Lorne.

Walking Tour B

Our stating point for touring the south end of Point Douglas is again the Ross House Museum located in Joseph Zuken Park {A}. This same area was originally home to some of early Winnipeg leading citizens – E. L. Barber whose residence remains at 99 Euclid Avenue, James Ashdown, John Christian Schultz, and William Gomez Fonseca. The area began to change with the arrival of the CPR and as industries set up adjacent to the rail line and commercial ventures sprung up along Main Street. Part of the Vulcan Iron Works complex was situated on what is now Zuken Park, as well as half of the block on the west side of Maple and the large structure which still stands at 150 Sutherland Avenue {C}. Vulcan Iron gained notoriety as one of the firms targeted by metal trades workers in the 1919 Winnipeg General Strike.

Walking Tour B route with letters where stops are located. They are indicated below by curly braces {}.

Walking Tour B route with letters where stops are located. They are indicated below by curly braces {}.

Waves of immigrants settled in the area and found jobs close by, rapidly changing the largely Anglo-Saxon make up of the neighbourhood. Representative of this change are the memorials in Zuken Park to poet and Ukrainian nationalist Markian Shaskhevich and to Sir William Stevenson (‘Intrepid’) who was of Icelandic descent and lived at 175 Syndicate Street.

Turn onto Meade Street, named for Rollin Pearce Meade, a newspaper editor circa 1870.

STOP B - 159 Meade Street (????)

{B} 159 Meade Street – the 1891 Henderson’s Directory lists the resident as J. T. Speirs, a baker. By the 1920s, Speirs is shown as living in Armstrong’s Point and owner of the Speirs Parnell Bakery, later part of Westons.

The 1891 Henderson’s Directory lists the resident as J. T. Speirs, a baker. By the 1920s, Speirs is shown as living in Armstrong’s Point and owner of the Speirs Parnell Bakery, later part of Westons.

159 Meade Street

159 Meade Street (October 2021)
Source: George Penner


STOP D - 119 Sutherland at Euclid (1908)

The All Peoples Mission was established in 1889 and moved to this location, built in 1908. Until 1978, the Mission assisted thousands of immigrants adapt to their new lives. J. S. Woodsworth, who was involved in the 1919 General Strike and would later be a founder of the Co-operative Commonwealth Federation, was an active leader of the All Peoples Mission prior to the First World War.


Turn onto Barber Street, named after early Point Douglas resident and businessman, E. L. Barber.


STOP E - 77 Barber Street (1883)

{E} 77 Barber Street, built in 1883 – Point Douglas, like most residential areas, underwent systematic periods of renovation, a process that continues today. There are some homes that show earlier styles of retrofitting with asphalt shingle siding such as 93 Hallet Street but at 77 Barber Street we see the “modern” use of vinyl siding.

Point Douglas, like most residential areas, underwent systematic periods of renovation, a process that continues today. There are some homes that show earlier styles of retrofitting with asphalt shingle siding such as 93 Hallet Street but at 77 Barber Street we see the “modern” use of vinyl siding.

77 Barber Street

77 Barber Street (September 2019)
Source: George Penner


STOP F - 113-115-117 Disraeli Street (1905)

{F} 113-115-117 Disraeli Street (named after British Prime Minister Benjamin Disraeli) – this triplex, built in 1905, features three gables.

This triplex features three gables.

113-115-117 Disraeli Street

113-115-117 Disraeli Street (October 2021)
Source: George Penner


STOP G - 110 Disraeli Street

St. Michaels Ukrainian Orthodox Church, originally an Anglican church (St. Mark’s Mission Chapel Mission), was purchased in 1918, and the dome and three-bar cross were added.


Turn onto Sutherland Avenue, named after Alexander Sutherland, one of the first Selkirk settlers. A grandson Alexander Sutherland was attorney-general for Manitoba in 1882.


STOP I - 110 Sutherland Avenue

As of 2004, occupied by Naylor Communications, was originally a warehouse for Massey-Harris, later used as a warehouse for Sherwin-Williams Paint and, in the 1960s, by building materials wholesaler F. G. Maxwell. Frederick G. “Steamer” Maxwell was the manager of the Winnipeg Falcons hockey team, gold medal winner at the 1920 Antwerp Olympic Games.


STOP J - Sutherland & Gomez

Simmons Mattress, formerly Alaska Bedding, closed in 1999 after nearly a century at this address.


STOP K - Annabella Street (formerly Rachel Street)

Annabella Street (formerly Rachel Street) and McFarlane Street were home to Winnipeg’s “Red Light District.” Early in the 20th century, there was pressure from moral crusaders and social reformers to clean up the evils of prostitution. The “solution” was to move all houses of ill repute into one area. Houses on Rachel and Annabella were bought up by a real estate agent and resold to the madams at prices as high as $12,000. The creation of a “Red Light District” only concentrated the problems associated with the sex trade in Point Douglas. In 1913, most of houses were shut down by the city.


STOP L

The Manitoba Hydro Natural Gas Division occupies the entire city block surrounded by Sutherland, Gladstone, Rover and Annabella. The site dates back to the 1880s when the Winnipeg Electric & Gaslight Company was created to extract gas from coal for street lighting. Coal was brought to the plant by a rail spur that ran along Annabella. Among the founders of the company was Donald A. Smith (Lord Strathcona). At McFarlane and Rover is a Manitoba Hydro electric terminal, built in 1911 by the City of Winnipeg Light & Power to receive power from its new generating station at Pointe du Bois on the Winnipeg River.


STOP P

Walking along Rover Street, we can see the height of the road relative to the neighbourhood. After the 1950 flood that covered all of Point Douglas and caused extensive damage to over four hundred homes, the city began to build dikes and pumping stations in vulnerable area. Streets such as Rover have been raised and incorporated into the system of dikes.


STOP M - 12 Rover Street (1905)

{M} 12 Rover Street, built 1905 – 1¾ storey house with glazed verandah.

This 2004 photo shows a 1¾-storey house with a glazed verandah.

12 Rover Street

12 Rover Street (September 2019)
Source: George Penner


STOP N

Continuing on Rover Street, we pass an enormous cottonwood that may well be over 135 years old. Just as the Red River helped shape the development of Point Douglas, the railway had an enormous impact on the neighbourhood. Syndicate Street is named after the CPR syndicate, which financed and promoted the railway. Stephens is named for George Stephens, and Angus after R. B. Angus. Stephens and Angus were bankers and promoters of the CPR.


STOP O

Brown & Rutherford, at 5 Sutherland, was founded in 1872 and moved to its present location in 1882. It sawed timber, supplied millwork and building materials, and operated a box factory. During the 1950s, the company produced wooden boats. Currently, the company primarily produces pine and cedar siding.


STOP Q

Heading back west on Rover, we can see the vulnerability of the area to flooding. Any trace of early European settlement had been erased by the floods of 1826 and 1852. Prior to the 1950 disaster, the area was hit by flooding in 1882, 1904, 1916 and 1948.


STOP R

At the southwest end of Prince Edward Street is a row of five identical houses, 508 square feet each, built in 1905.


STOP S - 99 Euclid Street (1868)

Barber House was built in 1868 for merchant and real estate agent E. L. Barber. The building features original Red River style construction. Pictures of the house in the early 20th century show it had clapboard siding and a front verandah with a railed balcony above balcony above. Members of the Barber family occupied the house until the late 1950s. Barber House was declared a Provincial Historic Site in 1987 and restoration began but funds ran out. Recently a local group, Sisters Initiating Steps Towards a Renewed Society (SISTARS) has developed a plan that would see Barber House turned into what they are affectionately calling a “community hub.” Barber House would be surrounded by public green space, a laundromat, maybe a coffee shop, and a daycare centre for local children. The project is estimated to cost $2.7 million. This innovative design concept was developed by a local firm, Bridgman Collaborative.


STOP T

The Ashdown residence, demolished in 1962, would have been 109 Euclid at Grove. Photographs show an elegant 2½ storey brick house built for hardware merchant James H. Ashdown.


This walking tour has been prepared by the Manitoba Historical Society’s Historic Preservation Committee: Ashleigh Drewett-Laird, Irene Shaw, Lily Stearns, Robert Kadolph, Glenn King, John Gunn, Carl James, and Tim Worth. The committee appreciates the support of the following research sources in carrying out this project: the City of Winnipeg, the residents of North Point Douglas, the Archives of Manitoba, and the Manitoba Historic Resources Branch.

Page revised: 4 November 2025