Manitoba History: Right of Way to Back Lane: The Strange Life of Scotland Avenue

by Laura Lamont
Winnipeg, Manitoba

Number 75, Summer 2014

This article was published originally in Manitoba History by the Manitoba Historical Society on the above date. We make this online version available as a free, public service. As an historical document, the article may contain language and views that are no longer in common use and may be culturally sensitive in nature.

Please direct all inquiries to webmaster@mhs.mb.ca.

Help us keep
history alive!

In his 2007 film My Winnipeg, Guy Maddin showed the viewer Lorette Avenue, describing it as “the hermaphrodite street. It’s half front street, half back lane.” [1] For on the north side of Lorette, every house faces south; however, on those narrow lots between Lorette to the north and Scotland Avenue to the south, the frontage flips back and forth, some houses facing Lorette and some facing Scotland. The filmmaker’s collection of Winnipeg’s real and imagined oddities does not account for why Lorette is this way; yet despite Maddin’s words, Lorette is relatively normal. It’s Scotland that’s confused. It has undergone a much different evolution, tracing its existence from a railway right-of-way running from Pembina Highway to Cambridge Street, to a mishmash of houses, garages and a few businesses on the few blocks it now spans. This progression, from bordering a railroad on the prairie to suburb, came about as a result of the post-Second World War growth in Winnipeg’s economy and population.

Front and back yards. In a curiousity featured in the 2007 film My Winnipeg, the house at right faces south onto Scotland Avenue while its neighbours face north onto Lorette Avenue.

Front and back yards. In a curiousity featured in the 2007 film My Winnipeg, the house at right faces south onto Scotland Avenue while its neighbours face north onto Lorette Avenue.
Source: Gordon Goldsborough, 2014

Scotland Avenue’s story begins during an earlier time of expansion: the railway boom of the early 1900s. With the backing of Prime Minister Wilfrid Laurier’s government, in 1903 the Grand Trunk Pacific Railway (GTPR) began planning a railroad that would run from Winnipeg to the Pacific coast as an adjunct to its eastern line to Moncton. [2] The east-west line went through the neighbourhood of Fort Rouge along what was then called Woodward Avenue, with Scotland as the right-of-way. By May of 1908, it was possible to travel from Winnipeg as far west as Saskatoon, and trains were running regularly between Winnipeg and Edmonton two years later. Just south of the GTPR’s line, the Canadian Northern Railway’s tracks looped out of the Fort Rouge yards which ran along the Red River, and crossed Pembina Highway to run west out towards Portage la Prairie (see Map 1).

The GTPR succeeded in building its line from Winnipeg to Prince Rupert, BC but, by 1915, both the GTPR and Canadian Northern were struggling financially. The GTPR’s parent company, the Grand Trunk Railway, could no longer afford to operate the Moncton-Winnipeg line it had leased from the Canadian government, while Canadian Northern was on the verge of bankruptcy. [3] In August 1917, the government nationalized Canadian Northern and the subsequent Grand Trunk Acquisition Act brought the GTPR and Canadian Northern into the federal fold in 1923 to form the Canadian National Railway (CNR). From then on, CNR operated the GTPR line as its Harte subdivision and the former Canadian Northern line as its Gladstone subdivision. Later, after years of economic depression and war, the need for two lines would be re-examined and internal forces would necessitate consolidation. [4]

Map 1. A portion of a 1909 Winnipeg street map includes the railways that criss-crossed the city, including the Grand Trunk Pacific and Great Northern railways that passed by the Union Station at the upper, right corner of this view, then headed southwest, passing through what is now Fort Rouge but was then largely undeveloped land populated by squatters.

Map 1. A portion of a 1909 Winnipeg street map includes the railways that criss-crossed the city, including the Grand Trunk Pacific and Great Northern railways that passed by the Union Station at the upper, right corner of this view, then headed southwest, passing through what is now Fort Rouge but was then largely undeveloped land populated by squatters.
Source: McPhillips’ Outline Map of Winnipeg & Vicinity, Manitoba. Winnipeg: [R. C. McPhillips], 1909. University of Manitoba Archives and Special Collections

Metropolitan Winnipeg’s census data echoed the economic times. Data from 1921 show the population of metropolitan Winnipeg as 229,212, almost 60% more than in 1911. The following decade saw that growth slow considerably, and between 1931 and 1941 there was very little change in the population: a mere 2.4%. By 1951, however, the population had risen 17.2% and that growth accelerated through 1961. The city recorded a head count of 475,989 in that census year, 34.4% more than ten years before. [5] These people needed a place to live.

A decade and a half of depression and war had left much of Winnipeg’s urban landscape drab and dreary, and the city in 1945 looked not greatly different from in 1914, only much more worn.... Only 2303 dwelling units had been constructed in the five years to 1943, while 13,429 couples had married.... In the half-decade after the war, metropolitan Winnipeg experienced a higher per capita rate of new house construction than any other major Canadian city, and the number of households increased from approximately 70,000 to 90,000.” [6]

Winnipeg’s Metropolitan Planning Committee took a serious look at the city’s present needs and potential growth and released a series of maps in 1946 that made clear that the committee targeted the area west of Guelph Street and south of Corydon Avenue for new housing (see Map 2). CNR’s separate, duplicate lines were therefore problematic—unless the railway could be persuaded to give one up. Even if CNR viewed the Harte spur as redundant, the railway had the right to keep the land south of Scotland Avenue unused whether or not there was a track on it; [7] in any case, CNR Gladstone would need to be modified to carry the increased rail traffic. [8]

Map 2. A 1948 Winnipeg map identified areas for potential residential development, including the southwest part of Fort Rouge.

Map 2. A 1948 Winnipeg map identified areas for potential residential development, including the southwest part of Fort Rouge.
Source: Metropolitan Planning Committee and Winnipeg Town Planning Commission. Residential Areas Greater Winnipeg. Winnipeg: 1948, plate 15. University of Manitoba Archives & Special Collections

A difficulty which could not easily be charted was what to do about the residents of Rooster Town, a collection of shanties that lay between CNR’s two tracks. While early maps show this area as already divided into the streets and blocks that have since been built, it was in fact undeveloped: those carefully laid-out rectangles were the speculative dreams of city officials and cartographers. If they had gone to the last streetcar stop at Corydon and Wilton, they would have stepped into bush to the south. Until the 1950s, the prairie was still wild enough that “[i]f you joined Cubs or Brownies your leader could take your group into the prairie to learn safe fire-making and bush survival, or to identify plants and animals ... all sorts of tests out in the prairie.” [9] The only water source available to Rooster Town inhabitants was a pump where Grant Avenue now meets Wilton Street, and the various illnesses consequent on such poor sanitation regularly afflicted the area’s children. [10] Over on the far side of the southern set of tracks, close to McGillivray Boulevard, was Tin Town, another shanty town in what are now called the Parker wetlands. [11]

Going for water. In December 1951, children from a Rooster Town family walked three-quarters of a mile from their squalid shack to fill a can with potable water.

Going for water. In December 1951, children from a Rooster Town family walked three-quarters of a mile from their squalid shack to fill a can with potable water.
Source: University of Manitoba Archives & Special Collections, Winnipeg Tribune fonds, PC 18 (A81-12), Box 59, Folder 5784

By comparison with the railway, Rooster Town residents were cheap to deal with; the last families were paid off in cash in 1959 by the city, between $50 and $75 each. [12] With CNR, however, the Winnipeg city planners had to negotiate not only the purchase price of the land, but make the deal attractive enough to the railway to compensate it for moving a line. By 1955, it had succeeded although from 1953 to 1954 there were conflicting reports in the Winnipeg Free Press regarding the status of any agreement between the city and CNR. [13] A pressing point for the city was that if the Harte subdivision remained in place from Pembina Highway to Borebank Street, the city would have about 30 authorized level crossings to build or maintain. [14] With only the Gladstone line in place, the only remaining crossing would be at Waverley Street.

Once the Harte line was gone, the Planning Committee’s original intention was to set up Scotland Avenue as the long-desired main thoroughfare joining Cambridge to Pembina and leading to the new Midtown Bridge. [15] There would be a small jog at Cambridge to meet Grant Avenue, which at that time ran west from Cambridge to end at a small park at Kenaston. This new thoroughfare would move traffic more easily from the south River Heights and Charleswood suburbs, the latter growing rapidly due in part to the development of a Veterans’ Land Act project, [16] to the downtown. In 1954, that was still the plan. [17] Scotland had several businesses located on it, including a Red River Grain Company elevator, a Winnipeg Supply outlet, a trailer vendor, two grocery stores, and a Winnipeg Hydro substation at Stafford Street, as well as many houses which fronted sometimes north, sometimes south. [18] However, by 1957 the emphasis had changed to extending Grant Avenue. [19]

What happened to change those plans? The developers, Arle Realty, wanted their development to span the right-of-way [20] and had already waited until the tracks had been removed to give their new shopping plaza, Grant Park, better access. [21] A clue comes from Basil Rotoff: “The City of Winnipeg had acquired the property, but subsequently failed to exercise any controls and sold off the land piecemeal to the developers as they came along.” [22] The city, unsurprisingly, wanted to recoup the $350,000 cost of the land purchase from CNR and hoped to get $500,000 for it. [23] The proposed developments were Arle Realty’s $10-million shopping centre and $3-million worth of housing, including 400 houses and 30 apartment blocks, as well as service lanes on both sides of Grant Avenue. [24] Indeed, the first building to go up on Grant Avenue between Cambridge and Pembina was an apartment block in 1955. It was followed by many more; other new construction included Grant Park High School in 1959 to accommodate the new area residents’ children, as well as new churches such as the Ukrainian Catholic Church at the corner of Grant and Harrow Street in 1962. [25] The new buildings sprouting along Grant quickly overshadowed Scotland, as can be seen on Rotoff’s rendering from 1974 (see Map 3).

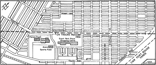
Map 3. Grant Avenue in the southwest part of Fort Rouge follows a former Canadian National Railway line, removed in 1956.

Map 3. Grant Avenue in the southwest part of Fort Rouge follows a former Canadian National Railway line, removed in 1956.
Source: Basil M. Rotoff, Railway Relocation in Canada, Winnipeg: Centre for Transportation Studies, University of Manitoba, 1975), plate 9, p. 33

While Scotland still touches Pembina in the east, on street maps it now terminates at Wilton Street to the west. The grain elevator is long gone, and for much of its length Scotland could be mistaken for a back lane. Within the city, the Harte line is mostly forgotten, with the exception of a length of the Trans Canada Trail in Charleswood named for it. After the removal of the Harte railway subdivision in Fort Rouge, Winnipeg gained important room for development in the city’s southwest but Scotland Avenue lost its history.

Notes

Thanks are due to Jess Dixon, who first suggested the possibilities of Lorette and Scotland avenues for research, Peter Squire (Winnipeg Real Estate Board), Jill Condra, Natalie Hasell, and David Horky and Ryan Courchene (Libraries and Archives Canada), for their help in finding Grand Trunk Pacific Railway maps.

1. Guy Maddin, My Winnipeg, Toronto: Coach House Books, 2009, p. 79.

2. A. W. Currie, The Grand Trunk Railway of Canada, Toronto: University of Toronto Press, 1957, p. 396.

3. John A. Eagle, “Monopoly or Competition: the Nationalization of the Grand Trunk Railway.” The Canadian Historical Review 62 (1981): 5.

4. Basil Rotoff, Railway Relocation in Canada, Winnipeg: Centre for Transportation Studies, University of Manitoba, 1975, p. 11.

5. Ronald Fromson, “Acculturation or Assimilation: A geographic analysis of residential segregation of selected ethnic groups: Metropolitan Winnipeg 1951-1961,” MA thesis, University of Manitoba, 1965, p. 11.

6. David Burley, “Winnipeg’s Landscape of Modernity, 1945-1975,” in Winnipeg Modern: Architecture 1945–1975, ed. Serena Keshavjee, Winnipeg: University of Manitoba Press, 2006, pp. 33-35.

7. Rotoff, p. 12.

8. Winnipeg Free Press (hereafter, WFP), 16 August 1955, page 12.

9. Janet Lundman, Prairie Freight: Prairie Stories, Victoria, BC: Friesen Press, 2011, p. 1.

10. WFP, 20 December 1951, page 1.

11. Reid Dickie, “Rooster Town: Hidden Winnipeg History”, ReadReidRead (blog), 18 January 2011, http://readreidread.wordpress.com/2011/01/18/rooster-town-hidden-winnipeg-history

12. Lawrence J. Barkwell, “Rooster Town: A Metis Road Allowance Community”, 1 April 2010, http://www.scribd.com/doc/29295136/Rooster-Town

13. WFP, 17 June 1953, page 3; 8 April 1954, page 4.

14. WFP, 19 July 1956, page 3.

15. WFP, 14 September 1955, page 3.

16. Seniors Resource Network, “The History of Charleswood”, http://www.seniors.cimnet.ca/cim/19C99_51T8029T50T3124T52T8031.dhtm.

17. WFP, 8 May 1954, page 1.

18. Henderson’s Winnipeg Directory 1953, Winnipeg: Henderson Directories Ltd., 1953, p. 324.

19. WFP, 17 April 1957, page 1.

20. WFP, 21 May 1955, page 3.

21. WFP, 26 May 1956, page 38.

22. Rotoff, p. 32.

23. WFP, 16 August 1955, page 12.

24. WFP, 26 May 1956, page 38.

25. Anna Maria Kowcz-Baran, Ukrainian Catholic Churches of Winnipeg Archeparchy: History of Ukrainian Catholic Churches in Canada, Saskatoon: The Archeparchy of Winnipeg, 1991, page 77.

We thank Clara Bachmann for assistance in preparing the online version of this article.

We thank S. Goldsborough for assistance in preparing the online version of this article.

Page revised: 29 March 2020